L'ouragan Melissa, d'une extrême intensité, frappe la Jamaïque le 28 octobre

29 Octobre 2025

L'ouragan Melissa, d'une extrême intensité, a frappé la Jamaïque le 28 octobre.

Une structure parmi les plus impressionnantes observées dans l'Atlantique

Melissa est née en mer des Caraïbes le 21 octobre sous la forme d'une tempête tropicale. Issue d'une onde tropicale ayant balayé l'arc antillais peu de jours auparavant. Le système a été soumis de nombreux jours à des cisaillements significatifs, freinant son intensification.

Elle rencontre ensuite en mer des Caraïbes des eaux particulièrement chaudes en profondeur et présente un potentiel d'intensification significatif dès lors que les cisaillements faiblissent. 

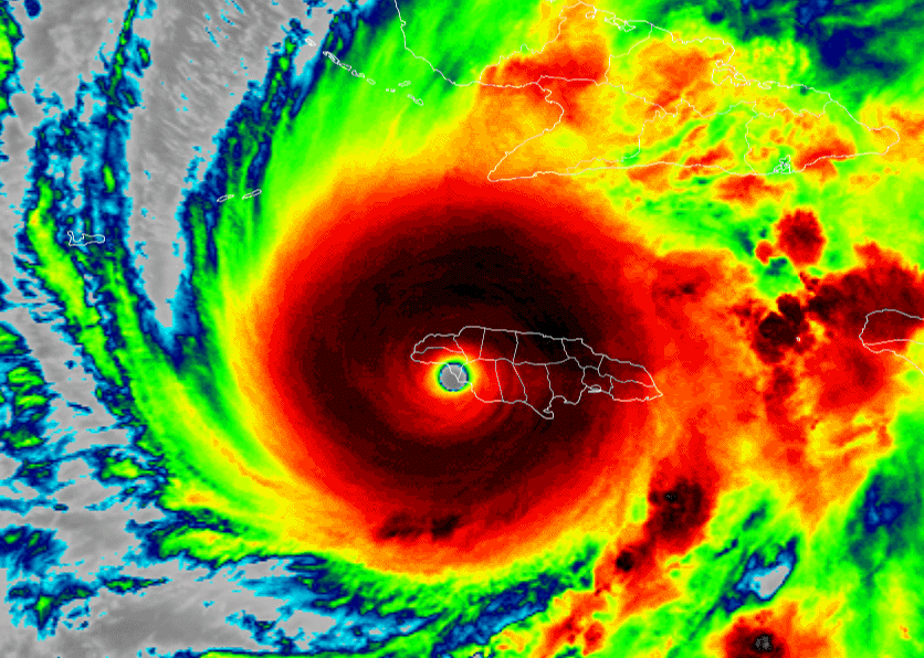
Melissa s'intensife rapidement en ouragan majeur puis atteint la catégorie 5 tôt le 27 octobre. Le cyclone présente alors des caractéristiques particulièrement remarquables : son oeil est très chaud et sec, signe d'une subsidence extrême. L'analyse satellite suggère une température proche de -3°C, ce qui est un record mondial depuis le début de l'ère satellite en 1979.
Autour de l'oeil, la convection est intense et à la faveur d'une tropopause très élevée dans le secteur, la température des sommets nuageux s'abaisse sous les -80°C de manière symétrique :

Un ouragan parmi les plus intenses dans l'Atlantique

En journée du 28 octobre, son déplacement très lent vers l'ouest s'interrompt pour gagner vers le nord/nord-est, en direction de la Jamaïque.
Melissa s'intensifie à nouveau et atteint son paroxysme en approche finale de Black River en Jamaïque. La convection s'accentue encore et l'oeil se réchauffe à près de -2°C

La reconnaissance aérienne permet alors d'établir que la pression minimale s'est abaissée à 892 hPa, faisant de cet ouragan le 3ème plus creux dans le bassin Atlantique, à égalité avec l'ouragan du Labor Day, et derrière Wilma et Gilbert.

Les vents soutenus en surface ont été estimés à 160 noeuds, soit 296 km/h, sachant qu'une dropsonde a enregistré des vents à près de 215 noeuds un peu plus en altitude (environ 200 m) soit plus de 400 km/h.

Avec cette valeur retenue à 160 noeuds en surface, Melissa devient le 2ème ouragan le plus puissant au niveau des vents produits, derrière Allen en 1980. Il s'agit par ailleurs de l'ouragan le plus puissant à toucher terre dans l'Atlantique, à égalité avec Dorian aux Bahamas en 2019.

Tout ce palmarès devra être confirmé après la saison cyclonique, par une post-analyse qui sera rendue publique par le NHC l'année prochaine.

Vidéos marquantes en Jamaïque

Des clichés spectaculaires vus d'avion

Les avions de reconnaissance de la NOAA et de l'US Air Force ont investigué à de nombreuses reprises l'ouragan Melissa. Ils ont parfois subi des turbulences extrêmes nécessitant des interruptions de vol. De nombreux oiseaux, pris au piège dans l'oeil ont également été signalés.

Ces investigations, fondamentales pour l'étude et la prévision des ouragans, ont été l'occasion de clichés sensationnels, pris par l'équipage. En voici quelques extraits, issus des réseaux sociaux :